波止釣り・サーフ釣り釣果

スポンサーリンク
波止釣り・サーフ釣り釣果

みなべ町〜白浜町で楽しむキス釣りスポット (釣太郎みなべ店で石ゴカイを買って出発!)

波止釣り・サーフ釣り釣果

バリコ(アイゴ)釣好調!30匹釣ったからもう帰る、と地元釣り人。

波止釣り・サーフ釣り釣果

8/17キスの釣果。新芳養でちょい投げ!

波止釣り・サーフ釣り釣果

【堤防釣り入門】のべ竿×アミエビでアジ・サバ・グレが釣れる!超シンプルで初心者に最適な釣り方とは?

波止釣り・サーフ釣り釣果

堤防からアイゴがぼちぼちと釣れています。

波止釣り・サーフ釣り釣果

暑くなるまでの朝5時から8時ごろまでで、キスのちょい投げ釣りに行かれる方が増えています。良型20cmオーバーも混じるようです。

波止釣り・サーフ釣り釣果

7/6みなべ堺堤防でフエフキダイ43cmなどの釣果

波止釣り・サーフ釣り釣果

豆アジ大漁に釣れます。どこの堤防でも湧いているようです。

波止釣り・サーフ釣り釣果

暑い季節でも手軽に楽しめる!1~2時間だけの釣りなら波止からのカサゴ(ガシラ)釣りがおすすめ!

波止釣り・サーフ釣り釣果

ちょこっと漁港で小さなジグを投げるだけで色々と釣れます。【カマス・オオモンハタ・ガシラ】

波止釣り・サーフ釣り釣果

真鯛60㎝の釣果。みなべ町堺堤防夜釣り。フカセで。前田様

波止釣り・サーフ釣り釣果

6/19 キスの釣果 約20匹 最高18㎝ 芳養漁港、投げ釣りにて

波止釣り・サーフ釣り釣果

今年も良型アジが釣れる時期が来ました。

夜釣り・スルルーの釣果

6/2見草堤防にて持ち込み釣果あり

波止釣り・サーフ釣り釣果

カンパチ46センチの釣果。釣った小サバを泳がせてのませ釣り。

波止釣り・サーフ釣り釣果

白浜町袋漁港ぼちぼちと豆アジ釣れています。

夜釣り・スルルーの釣果

5/18 印南堤防でウツボの釣果 ブッコミ釣りでウツボ狙い

波止釣り・サーフ釣り釣果

キスの釣果 出始めました。

波止釣り・サーフ釣り釣果

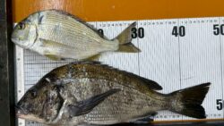
チヌ47㎝とヘダイの釣果。白浜富田浜。松浦様

アオリイカ釣果

4/21 みなべでヒラメ62cm ヤエン釣り

波止釣り・サーフ釣り釣果

4/19 岩代にてヒラメ65㎝の釣果!

波止釣り・サーフ釣り釣果

豆アジ、イワシは8センチ、小サバは12センチ、丸アジは17センチ。4月18日金曜日のサビキ釣り。

波止釣り・サーフ釣り釣果

串本町周辺の波止でアジ釣れています

波止釣り・サーフ釣り釣果

3/18 (火) 白浜町堤防にてヒラメ70cm ノマセにて

波止釣り・サーフ釣り釣果

最新釣果情報

スポンサーリンク
タイトルとURLをコピーしました