釣太郎ブログ
ホーム
釣太郎HP
釣果一覧
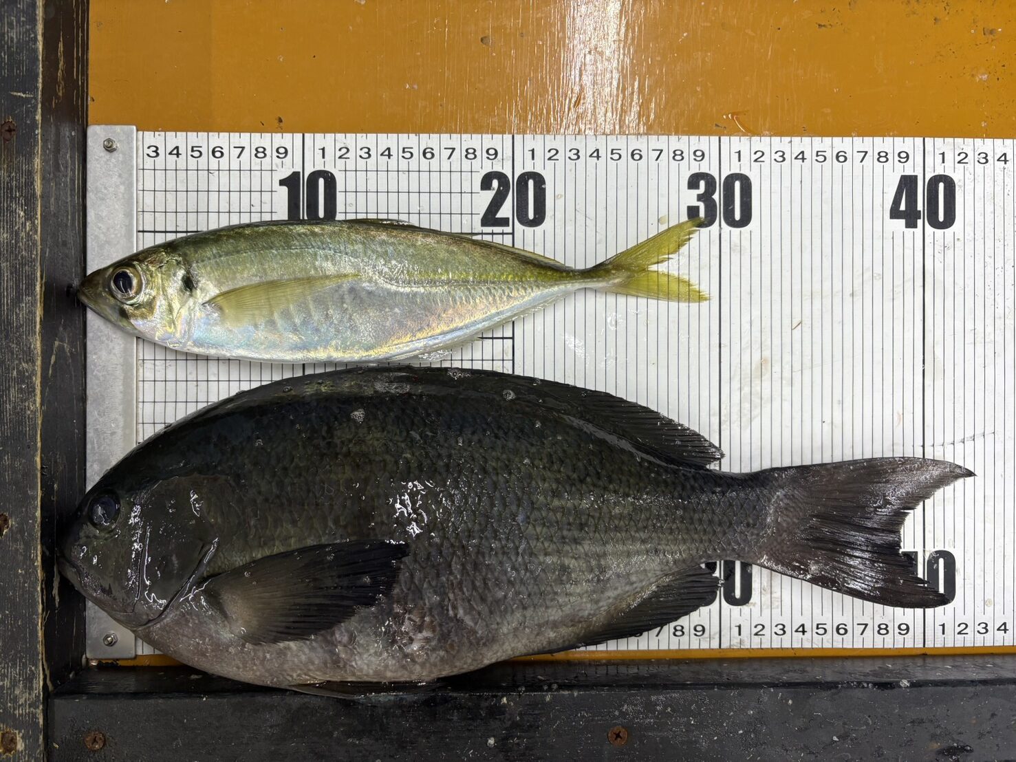
1/11串本地磯にてグレとアジ持ち込み釣果あり。
グレ・チヌ、鯛系の釣果
2026.01.11
スポンサーリンク
みなべ店GMAXセール中!まだまだあります。
アジ20cmと尺アジ(30cm超)春夏秋冬で脂の乗りと美味しさはどれだけ違う?季節別比較一覧表【南紀釣り人向け完全ガイド】
ホーム
釣果
グレ・チヌ、鯛系の釣果
スポンサーリンク
メニュー
ホーム
釣太郎HP
釣果一覧
ホーム
検索
トップ
サイドバー
タイトルとURLをコピーしました