釣太郎ブログ
ホーム
釣太郎HP
釣果一覧
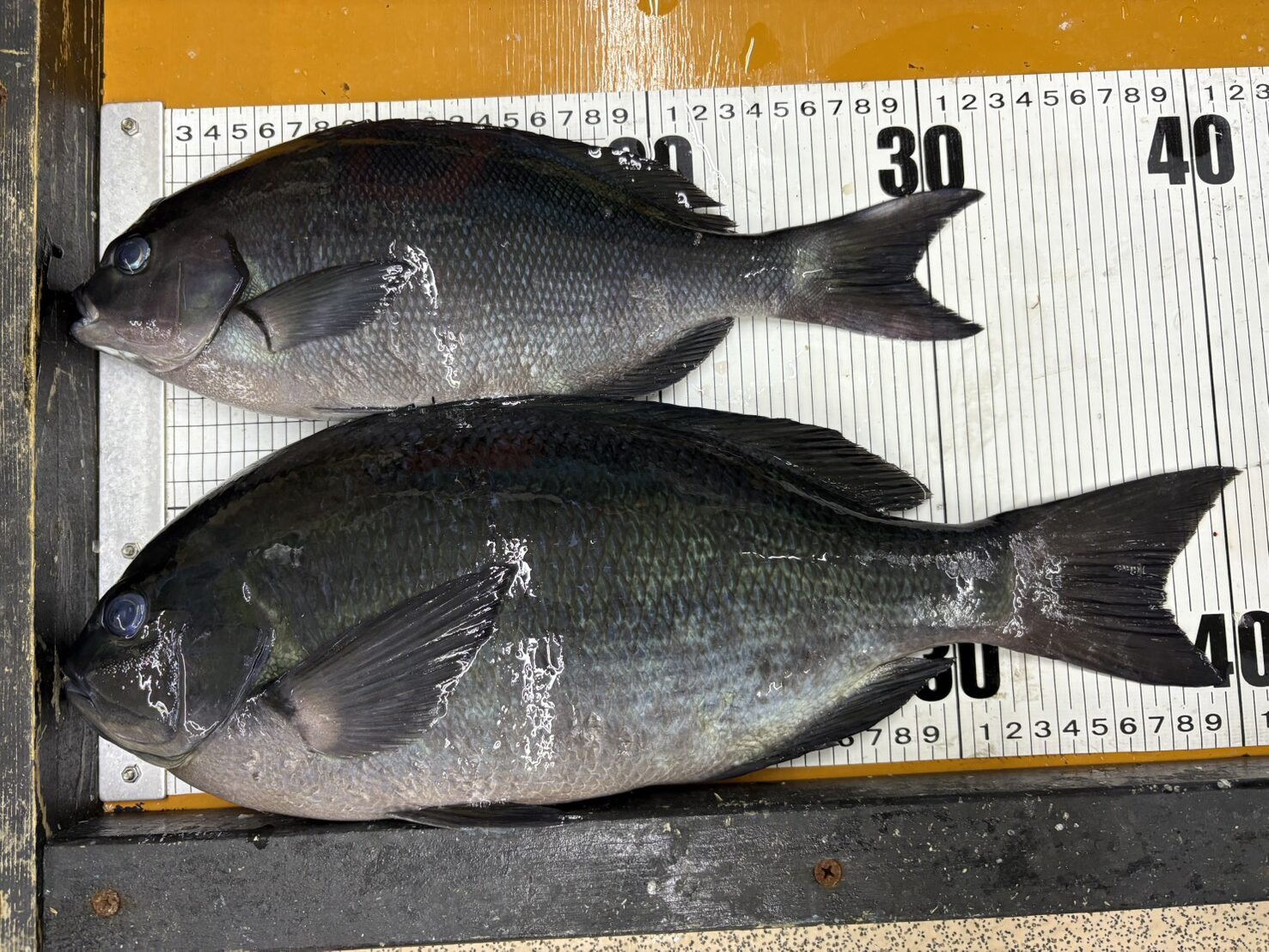
1/17グレの持ち込み釣果 串本地磯にて41.5cmと32cm
グレ・チヌ、鯛系の釣果
2026.01.17
スポンサーリンク
潮の流れの緩急と水温の関係性は?
1/17 アオリイカの釣果 1130g すさみ地磯、ヤエン釣りにて
ホーム
釣果
グレ・チヌ、鯛系の釣果
スポンサーリンク
メニュー
ホーム
釣太郎HP
釣果一覧
ホーム
検索
トップ
サイドバー
タイトルとURLをコピーしました