釣太郎ブログ
ホーム
釣太郎HP
釣果一覧
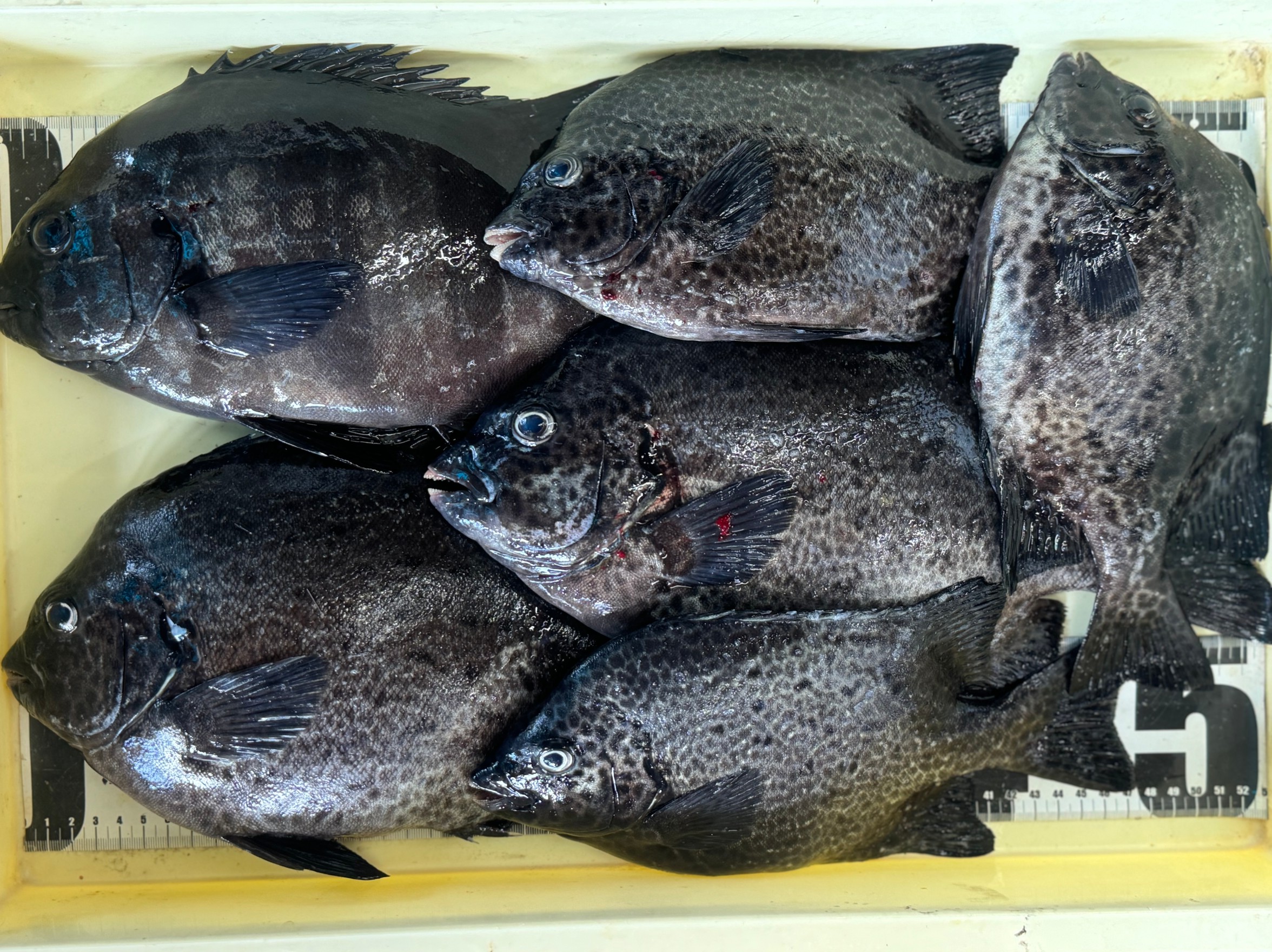
「大きいのなかった」と落胆する名人K師。 さすが!
底物釣果
2024.10.06
スポンサーリンク
臭い魚は直火で強い目に焼き、その後に付けにすると美味しく食べれる。この理由は?
海のプランクトンについて詳しく説明。
ホーム
釣果
底物釣果
スポンサーリンク
メニュー
ホーム
釣太郎HP
釣果一覧
ホーム
検索
トップ
サイドバー
タイトルとURLをコピーしました