タイラバってよく聞いたり、本や動画を見たことはあるけど行った事が無い方は多いかと思います。
はじめて行く釣りや釣り場は不安と期待が半々な感じでしたがとりあえず行ってみました!
ベイトリールにタイラバ用のロッドが必要と思っていましたが、一回目から中々揃えられず
僕はエギングロッドとスピニングリールで挑戦。。。。

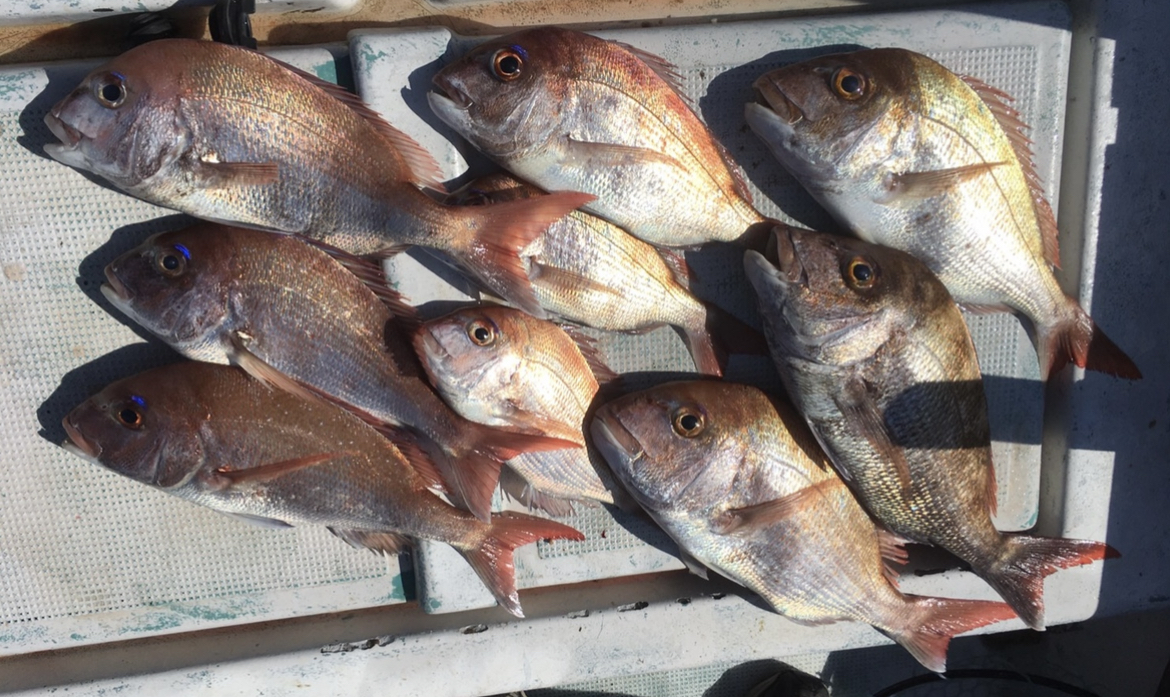
上手な方たちはアタリが多く、自分にはあたりが中々来ずでしたが何とか1匹釣りあげました!

1匹釣れてから調子が良く爆釣モードに突入しました!

上手い方からは次はベイトリールにタイラバ用のロッドの方がいいんちゃうか!と言われました。
スピニングだと狙う棚が分からないですがベイトだと水深に合わせて調節できるので
全然違ってくると常連の方が言っていました。
まぁ釣れたのでよしとします!
釣太郎みなべ店・白浜店両店舗にタイラバの仕掛け一部おいております!

色々な釣りに挑戦してみてはいかかでしょうか!
夜勤スタッフの釣行や釣り堀での釣り方も紹介しておりますので是非ご覧ください!

